• Home
  • Chemistry
  • Astronomy
  • Energy
  • Nature
  • Biology
  • Physics
  • Electronics
  • NASA Discovers Dense Rings of Heavy Water Vapor Around Cyclone Amphan’s Eye
    NASA Discovers Dense Rings of Heavy Water Vapor Around Cyclone Amphan’s Eye

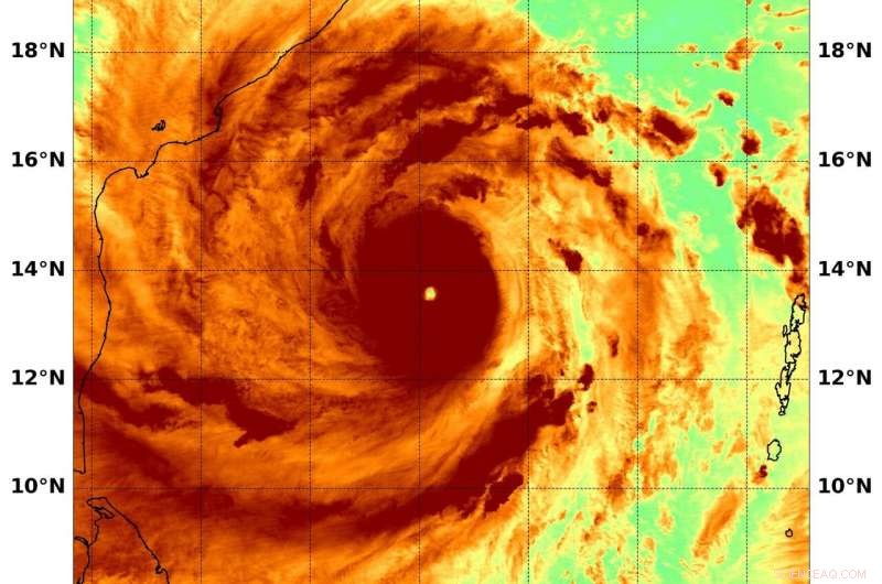
    On May 18 at 3:40 a.m. EST (0740 UTC), NASA's Aqua satellite passed over Tropical Cyclone Amphan, located in the Northern Indian Ocean. Aqua found highest concentrations of water vapor (brown) and coldest cloud top temperatures were around the clear eye. Credit: NASA/NRL

    When NASA's Aqua satellite passed over the Northern Indian Ocean on May 18, it gathered water vapor data that showed the intensity of powerful Tropical Cyclone Amphan. Amphan is the equivalent of a Category 5 hurricane on the Saffir-Simpson Hurricane Wind Scale.

    Water vapor analysis of tropical cyclones tells forecasters how much potential a storm has to develop. Water vapor releases latent heat as it condenses into liquid. That liquid becomes clouds and thunderstorms that make up a tropical cyclone. Temperature is important when trying to understand how strong storms can be. The higher the cloud tops, the colder and the stronger the storms.

    NASA's Aqua satellite passed over Tropical Cyclone Amphan on May 18 at 3:40 a.m. EST (0740 UTC), and the Moderate Resolution Imaging Spectroradiometer or MODIS instrument gathered water vapor content and temperature information. The MODIS image showed highest concentrations of water vapor and coldest cloud top temperatures circled the visible eye.

    MODIS data showed coldest cloud top temperatures were as cold as or colder than minus 70 degrees Fahrenheit (minus 56.6 degrees Celsius) in those storms. Storms with cloud top temperatures that cold have the capability to produce heavy rainfall.

    NASA-NOAA's Suomi NPP satellite provided a visible image of the huge Tropical Cyclone Amphan on May 18, just off the eastern coast of India. The image showed the extent of the storm, which was over open ocean, stretching from just north of Sri Lanka, north, past the Indian states of Tamil Nadu to Andrha Pradesh.

    NASA Discovers Dense Rings of Heavy Water Vapor Around Cyclone Amphan’s Eye

    NASA-NOAA's Suomi NPP satellite provided a visible image of the huge Tropical Cyclone Amphan on May 18, just off the eastern coast of India. Credit: NASA Worldview

    At 5 a.m. EDT (0900 UTC) on May 18, the Joint Typhoon Warning Center (JTWC) noted that Amphan's eye was centered near latitude 13.6 degrees north and longitude 86.4 degrees east, about 301 nautical miles southeast of Visakhapatnam, India. Amphan was moving to the north and had maximum sustained winds 140 knots (161 mph/259 kph).

    Amphan will move north and is expected to strengthen slightly. JTWC said the storm will then gradually weaken prior to landfall near Kolkata, India in two days.

    NASA's Aqua satellite is one in a fleet of NASA satellites that provide data for hurricane research.

    Tropical cyclones/hurricanes are the most powerful weather events on Earth. NASA's expertise in space and scientific exploration contributes to essential services provided to the American people by other federal agencies, such as hurricane weather forecasting.


    Science Discoveries © www.scienceaq.com