• Home
  • Chemistry
  • Astronomy
  • Energy
  • Nature
  • Biology
  • Physics
  • Electronics
  • Severe Tropical Cyclone Veronica Approaches Western Australia's Pilbara Coast
    Severe Tropical Cyclone Veronica Approaches Western Australia s Pilbara Coast

    NASA-NOAA's Suomi NPP satellite passed over the Southern Indian Ocean and captured a visible image of Severe Tropical Cyclone Veronica on March 22 as it moved toward the Pilbara Coast of Western Australia. Veronica was illuminated by the full moon. Credit: NASA/NOAA/UWM-CIMSS, William Straka III

    Tropical Cyclone Veronica continued to move toward Australia's Pilbara Coast in Western Australia. NASA-NOAA's Suomi NPP satellite provided visible and infrared images of the storm that indicated heavy rainfall.

    The Australian Bureau of Meteorology, or ABM updated warnings on March 22. The Warning zone extends from Wallal Downs to Mardie including Port Hedland, Karratha and Barrow Island.

    The Watch zone extends to the inland Pilbara to include Pannawonica, Marble Bar and Nullagine.

    Suomi NPP passed over Savannah on March 22 and the Visible Infrared Imaging Radiometer Suite (VIIRS) instrument provided visible and infrared images of the storm. William Straka III, who created some of the images noted "As you would expect, the infrared channel on VIIRS showed large amounts of tropospheric gravity waves and overshooting [cloud] tops associated with the intense convection. In another image Veronica was illuminated by the full moon."

    Shortly after the Suomi NPP satellite passed over the storm, the GCOM-W1 satellite also flew over Severe Tropical Cyclone Veronica. "The Advanced Microwave Scanning Radiometer or AMSR2 instrument aboard GCOM-W1 showed a completely enclosed eye as well as the convection around the circulation," Straka said. The microwave instruments provide critical information that is not seen by the infrared or visible imagery for forecasters.

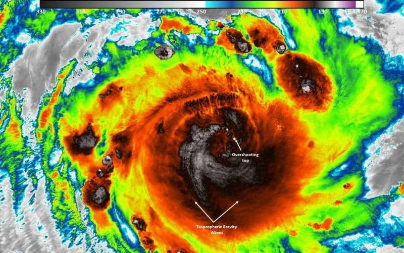
    Severe Tropical Cyclone Veronica Approaches Western Australia s Pilbara Coast

    NASA-NOAA's Suomi NPP satellite passed over the Southern Indian Ocean and captured this infrared image of Severe Tropical Cyclone Veronica on March 22 as it moved toward the Pilbara Coast of Western Australia. The infrared channel on VIIRS showed large amounts of tropospheric gravity waves and overshooting [cloud] tops associated with the intense convection. Credit: NASA/NOAA/UWM-CIMSS, William Straka III

    As of 9:02 a.m. EDT (9:02 p.m. AWST local time) on March 22, Severe Tropical Cyclone Veronica was a category 4 storm on the Australian scale. Veronica had sustained winds of 175 kilometers per hour. It was centered near 17.9 degrees south latitude and 116.9 degrees east longitude about 315 kilometers north of Karratha.

    ABM noted "Severe Tropical Cyclone Veronica, a Category 4 system, is moving slowly southwards towards the Pilbara coast. During Saturday it is expected to take a more southeast track and reach the coast late Saturday or Sunday. A severe coastal impact is likely."


    Science Discoveries © www.scienceaq.com