• Home
  • Chemistry
  • Astronomy
  • Energy
  • Nature
  • Biology
  • Physics
  • Electronics
  • NASA Detects Record-Breaking Rainfall in Tropical Cyclone Kenanga
    NASA Detects Record-Breaking Rainfall in Tropical Cyclone Kenanga

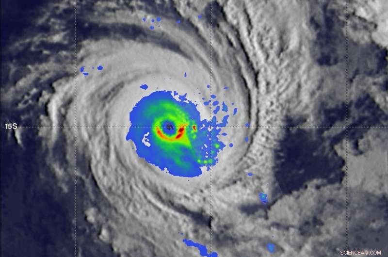
    On Dec. 18, the GPM satellite found extreme rainfall in Kenanga's well-defined circular eyewall. Heaviest rainfall was found by GPM in the tropical cyclone's southeastern quadrant, falling at a rate of over 161 mm (6.3 inches) per hour on that side of the tropical cyclone. Credit: NASA/JAXA, Hal Pierce

    NASA found very cold cloud top temperatures within the Southern Indian Ocean's Tropical Cyclone Kenanga that indicate powerful thunderstorms reaching high into the troposphere. Those storms were generating very heavy rainfall as confirmed by the Global Precipitation Measurement mission or GPM core satellite.

    On December 18, 2018 at 10:04 a.m. EST (1504 UTC) the GPM core observatory satellite flew above powerful Tropical Cyclone Kenanga in the southwestern Indian Ocean. Tropical Cyclone Kenanga's most distinctive feature was its large eye. At the time of the GPM pass Kenanga's maximum sustained wind speeds were about 90 knots (104 mph).

    At NASA's Goddard Space Flight Center in Greenbelt, Maryland, an analysis of the tropical cyclone's rainfall was derived from data collected by GPM's Microwave Imager (GMI) and GPM's Dual-Frequency Precipitation Radar (DPR) instruments. GPM clearly showed the extreme rainfall in Kenanga's well-defined circular eyewall. The heaviest rainfall was found by GPM in the tropical cyclone's southeastern quadrant. GPM's radar (DPR Ku Band) measured precipitation there falling at a rate of over 161 mm (6.3 inches) per hour on that side of the tropical cyclone.

    A 3-D view of the storm was created at Goddard that showed the estimated relative heights of storms within tropical cyclone Kenanga. Those heights are based on measurements by the GPM satellite's radar (DPR Ku Band) blended with estimates from Japan's HIMAWARI-8 satellite's infrared temperatures. GPM's radar probes of Kenanga's eastern side indicated that storm tops in that part of the tropical cyclone were reaching heights above 12.2 km (7.6 miles). GPM is a joint mission between NASA and the Japan Aerospace Exploration Agency, JAXA.

    NASA Detects Record-Breaking Rainfall in Tropical Cyclone Kenanga

    On Dec. 19 at 2:53 a.m. EST (0753 UTC) the AIRS instrument aboard NASA's Aqua satellite captured temperature data from Tropical Cyclone Kenanga, using infrared light. The most powerful storms, with coldest cloud top temperatures appeared in purple around the eye. Credit: NASA/JPL, Heidar Thrastarson

    On Dec. 19 at 2:53 a.m. EST (0753 UTC) the Atmospheric Infrared Sounder or AIRS instrument aboard NASA's Aqua satellite captured temperature data from Tropical Cyclone Kenanga, using infrared light. The most powerful storms, with coldest cloud top temperatures appeared around the eye and were colder than minus 63 degrees Fahrenheit (minus 53 degrees Celsius). Satellite data showed that the eye is about 25 nautical miles in diameter and that the southern side of the storm appeared to be elongating, a sign of weakening.

    On Dec. 19 at 10 a.m. EST (1500 UTC), Kenanga's wind speeds peaked at about 115 knots (132 mph/213 kph). It was centered near 16.6 degrees south latitude and 82.1 degrees east longitude. That's approximately 805 nautical miles southeast of Diego Garcia. Kenanga has tracked southwestward.

    Kenanga is now expected to gradually weaken as the tropical cyclone moves toward the southwest over progressively cooler sea surface temperature.

    On Dec. 18, the GPM satellite found extreme rainfall in Kenanga's well-defined circular eyewall. Heaviest rainfall was found by GPM in the tropical cyclone's southeastern quadrant, falling at a rate of over 161 mm (6.3 inches) per hour on that side of the tropical cyclone. GPM's radar probes of Kenanga's eastern side indicated that storm tops in that part of the tropical cyclone were reaching heights above 12.2 km (7.6 miles). Credit: NASA/JAXA, Hal Pierce



    Science Discoveries © www.scienceaq.com