• Home
  • Chemistry
  • Astronomy
  • Energy
  • Nature
  • Biology
  • Physics
  • Electronics
  • Perfect Storms Explained: Hurricanes, Typhoons, and Their Impact
    Perfect Storms Explained: Hurricanes, Typhoons, and Their Impact

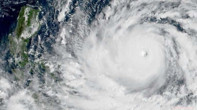
    Typhoons such as Mangkhut, heading for the Philippines, start life as simple thunderstorms.

    As Hurricane Florence looms off the eastern United States and Typhoon Mangkhut threatens the Philippines, here are some facts about monster storms and what to expect as climate change supercharges our weather.

    A cyclone by any other name

    Hurricanes, cyclones, and typhoons are different names for the same type of giant tropical storms that form in oceans near the Americas and Asia.

    Bringing torrential rains, high winds, storm surges, and giant waves, the storms can be deadly and wreak havoc once they make land.

    At their most fearsome, these low-pressure weather fronts pack more power than the energy released by the atomic bomb that levelled Hiroshima.

    In the Atlantic and northeast Pacific, they are known as hurricanes, while typhoon is the term used in Pacific Asia. The same weather phenomenon in the South Pacific and Indian Ocean is a cyclone.

    Humble beginnings

    Cyclones start life as simple thunderstorms. But at certain times of the year, when sea temperatures are high enough to create evaporation, the storm fronts begin to suck up vast quantities of water.

    In the northern hemisphere they are pulled into an anti-clockwise spiral as they make their way across the ocean by the rotation of the Earth. Cyclones in the southern hemisphere rotate clockwise.

    The water they hold is then deposited as rainfall, bringing catastrophic flooding, property damage and loss of life.

    The storms themselves—with a calm "eye" at their centre—can measure up to 1,000 kilometres (600 miles) across.

    But they weaken rapidly when they travel over land or colder ocean waters.

    Size doesn't (always) matter

    Scientists rank cyclones from Category 1-5. Category 5 storms have sustained winds of at least 252 kilometres (157 miles) per hour or higher.

    Recent Category 5s include Hurricane Irma, which battered the Caribbean and the southern United States in September 2017.

    Hurricane Katrina, which killed over 1,800 people across the US Gulf Coast in 2005, was also a Category 5.

    In contrast, Florence weakened on Thursday to a Category 2 event, although that is not to say it is not still extremely dangerous.

    Florence is forecast to dump up to 100 centimetres (40 inches) of rain in some areas after making landfall in North and South Carolina Thursday night or Friday.

    "We're expecting 500-1,000 millimetres in Jacksonville, where the average monthly rainfall is 180-200 mm," Emmanuel Bocrie, forecaster at the Meteo France weather service, told AFP.

    "So a lower category storm can still be dangerous and do a lot of damage."

    A summer of violence

    Last year saw a string of catastrophic storms batter the west Atlantic—including Irma, Maria and Hurricane Harvey—causing a record-equalling $125 billion (107 billion euros) in damages when it flooded the Houston metropolitan area.

    Bocrie said 2017 was exceptional for Atlantic superstorms as surface water temperatures were on average two-to-three degrees Celsius warmer than normal.

    For this hurricane season, the NOAA forecasting service and Britain's Met Office predict between five and nine storms of Category 3 or stronger.

    "That's a relatively normal season," according to Bocrie. "But be careful. That's not to say we can rule out a disaster, it only takes one."

    Worse to come?

    Scientists have long predicted that global warming will make cyclones more destructive, and some say the evidence for this may already be visible.

    Warmer oceans add to the raw fuel on which cyclones feed, and higher sea levels boost storm surges that may overcome coastal defences.

    Cyclones "are going to be far stronger, more violent and destructive, and we expect more rain as well," said Bocrie.

    © 2018 AFP




    Science Discoveries © www.scienceaq.com