• Home
  • Chemistry
  • Astronomy
  • Energy
  • Nature
  • Biology
  • Physics
  • Electronics
  • Hurricane Lane 2018: Sentinel-3A Satellite Temperature Capture
    Hurricane Lane 2018: Sentinel-3A Satellite Temperature Capture

    Credit: contains modified Copernicus Sentinel data (2018), processed by ESA, CC BY-SA 3.0 IGO

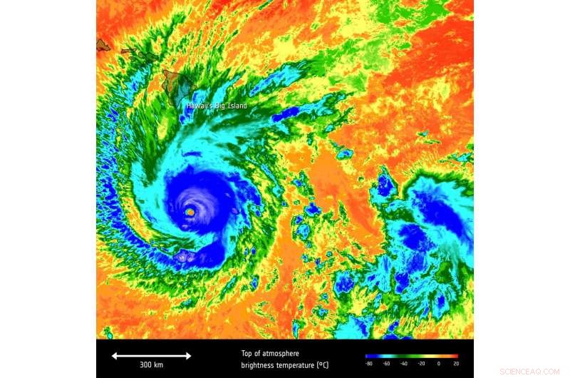
    The Copernicus Sentinel-3A satellite took the temperature at the top of Hurricane Lane as it headed towards Hawaii's Big Island on 22 August 2018. Lane weakened to a Category 3 storm on 23 August, just before it hit Hawaii. Still a powerful storm, it has brought torrential rain to the Big Island. The island is still reeling from months of devastating lava flows from the Kilauea volcano and is now coping with heavy rain and flooding. The brightness temperature of the clouds at the top of the storm, some 12–15 km above the ocean, range from about –80°C near the eye of the storm to about 15°C at the edges.

    Hurricanes are one of the forces of nature that can be tracked only by satellites, providing up-to-date imagery so that authorities know when to take precautionary measures. Satellites deliver information on a storm's extent, wind speed and path, and on key features such as cloud thickness, temperature, and water and ice content. Sentinel-3's Sea and Land Surface Temperature Radiometer measures energy radiating from Earth's surface in nine spectral bands.


    Science Discoveries © www.scienceaq.com