• Home
  • Chemistry
  • Astronomy
  • Energy
  • Nature
  • Biology
  • Physics
  • Electronics
  • Hurricane Forecast: Expect Below-Average Activity This Season
    Hurricane Forecast: Expect Below-Average Activity This Season

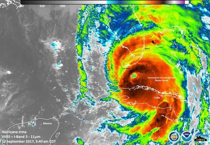
    Hurricane Irma was one of six major hurricanes during 2017, which is considered one of the most catastrophic Atlantic hurricane seasons on record. Credit: NOAA

    Hurricane season didn't officially start until June 1, but Subtropical Storm Alberto made an appearance early, causing more than $50 million in damage as it made its way inland and up the coast in late May. Twelve people—seven in Cuba and five in the U.S.—died as Alberto's fallout included flooding, landslides, tornados and mudslides.

    Is Alberto's early-season appearance an indicator of another active Atlantic hurricane season? Not necessarily, according to predictions by researchers at the University of Arizona.

    The UA forecasting model predicted a below-average number of hurricanes for the 2018 hurricane season, which runs through November 30. UA researchers are predicting four hurricanes, two of which will be major hurricanes, defined as those reaching Category 3, 4 or 5. That forecast falls below the median of seven hurricanes with two majors.

    The UA prediction is among the lowest of all published forecasts, which include predictions by the National Oceanic and Atmospheric Administration, the London, United Kingdom-based consortium Tropical Storm Risk and other universities.

    Last year, the UA's forecast was among the highest—11 hurricanes with six majors—and came closest to hitting the mark. The 2017 hurricane season ended with 10 hurricanes and six majors, making it the most active since 2005 and the seventh-most active in the NOAA's historical records dating back to 1851. Last year, Irma (Florida) and Maria (Puerto Rico) were 5s, and Harvey (Texas) and Jose (offshore Caribbean) were 4s.

    Xubin Zeng, his former graduate student Kyle Davis, and former UA professor Elizabeth Ritchie developed the UA's hurricane forecasting model, which has proven to be extremely accurate over the last four years.

    "Since we began issuing our annual hurricane prediction in 2014, our average error is 1.5 hurricanes," said Zeng, director of the UA's Climate Dynamics and Hydrometeorology Center, a professor of atmospheric sciences and the Agnes N. Haury Endowed Chair in Environment in the Department of Hydrology and Atmospheric Sciences at the UA.

    A main factor in this year's prediction is the low sea surface temperatures over the Atlantic, where little warming occurred from April to May. The sea surface temperatures are the lowest Zeng and his team have seen since 2014, but similar to long-term average temperatures. The Atlantic Multidecadal Oscillation index in May, which describes multidecadal climate variability in the North Atlantic, is zero, which is below the threshold at which El Niño would affect hurricane activity in the UA model.

    "These conditions imply an average year for hurricane activities; however, tropical Atlantic Ocean surface easterly wind—from east to west, the so-called trade wind—is stronger than in most years," Zeng said. "This implies a stronger wind shear, which usually reduces hurricane activities. Therefore, together, we predict a slightly below average year for hurricane activities."

    If the 2018 UA hurricane forecast is as accurate as it has been over the last few years, the U.S. can expect smoother sailing as it continues to recover from an estimated $282.16 billion in damages caused last year during one of the most catastrophic hurricane seasons in history.


    Science Discoveries © www.scienceaq.com