• Home
  • Chemistry
  • Astronomy
  • Energy
  • Nature
  • Biology
  • Physics
  • Electronics
  • NASA Analyzes Rainfall Patterns in Eastern Pacific Tropical Storm Aletta
    NASA Analyzes Rainfall Patterns in Eastern Pacific Tropical Storm Aletta

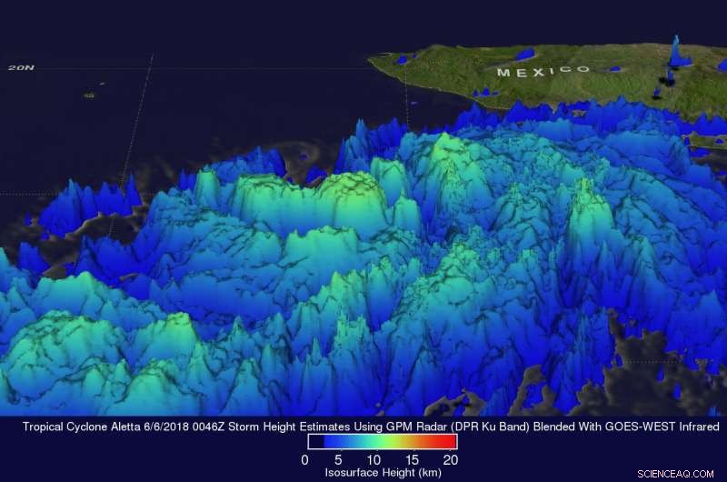
    NASA analyzed the rainfall rates within Tropical Storm Aletta on June 6, 2018 at 0046 UTC (June 5 at 8:46 p.m. EDT). Intense rain bands are spiraling into the tropical cyclone's eastern side. NASA's GPM satellite found that rain in some of these powerful storms was falling at a rate of over 187 mm (7.4 inches). Storm top heights were found by DPR reaching altitudes of over 12 km (10.5 miles) within powerful storms in rain bands wrapping around Aletta's eastern side. Credit: NASA/JAXA, Hal Pierce

    Tropical Storm Aletta is spinning more than 440 miles off the southwestern coast of Mexico and using satellite data, NASA peered into the storm to uncover where the heaviest rain was falling.

    Early on June 6, Tropical Depression Two-E was upgraded to Tropical Storm Aletta. This is the first tropical storm of the 2018 eastern North Pacific season. Aletta was located well southwest of Mexico.

    The Global Precipitation Measurement mission or GPM core observatory satellite passed above developing tropical storm Aletta on June 6, 2018 at 0046 UTC (June 5 at 8:46 p.m. EDT).

    At NASA's Goddard Space Flight Center in Greenbelt, Maryland an image of Aletta's rainfall was created using GPM precipitation measurements. The rainfall was calculated from data collected by GPM's Microwave Imager (GMI) and Dual Frequency Precipitation Radar (DPR) instruments. The satellite's GMI and DPR instruments had a good view of rainfall on Aletta's eastern side. Intense rain bands are shown by DPR spiraling into the tropical cyclone's eastern side. DPR found that rain in some of these powerful storms was falling at a rate of over 187 mm (7.4 inches).

    GPM radar data (DPR Ku Band) were used to create a 3-D structure of precipitation associated with Aletta. Storm top heights were found by DPR reaching altitudes of over 12 km (10.5 miles) within powerful storms in rain bands wrapping around Aletta's eastern side. Cloud top height estimates over an area larger than the GPM swath were produced by blending measurements from GPM's radar (DPR Ku band) with cloud top heights based on the GOES-WEST satellite's infrared temperatures.

    NASA analyzed the rainfall rates within Tropical Storm Aletta on June 6, 2018 at 0046 UTC (June 5 at 8:46 p.m. EDT). Intense rain bands are spiraling into the tropical cyclone's eastern side. NASA's GPM satellite found that rain in some of these powerful storms was falling at a rate of over 187 mm (7.4 inches). Storm top heights were found by DPR reaching altitudes of over 12 km (10.5 miles) within powerful storms in rain bands wrapping around Aletta's eastern side. Credit: NASA/JAXA, Hal Pierce

    GPM is a joint mission between NASA and the Japan Aerospace Exploration Agency, JAXA.

    At 5 a.m. EDT (0900 UTC) on June 6, the center of Tropical Storm Aletta was located near latitude 14.6 degrees north and longitude 109.2 degrees west. That's about 445 miles (715 km) southwest of Manzanillo, Mexico. Aletta is moving toward the west near 7 mph (11 kph). A gradual turn to the west-northwest and northwest is expected during the next 2 to 3 days. Maximum sustained winds have increased to near 65 mph (100 kph) with higher gusts. The estimated minimum central pressure is 994 millibars.

    The National Hurricane Center said "Some strengthening is forecast and Aletta is expected to become a hurricane later today or early Friday. There are no coastal watches or warnings in effect."

    For updated forecasts, visit: http://www.nhc.noaa.gov


    Science Discoveries © www.scienceaq.com