• Home
  • Chemistry
  • Astronomy
  • Energy
  • Nature
  • Biology
  • Physics
  • Electronics
  • NASA Satellites Deliver Comprehensive 3-Phase Analysis of Tropical Cyclone Mekun
    NASA Satellites Deliver Comprehensive 3-Phase Analysis of Tropical Cyclone Mekun

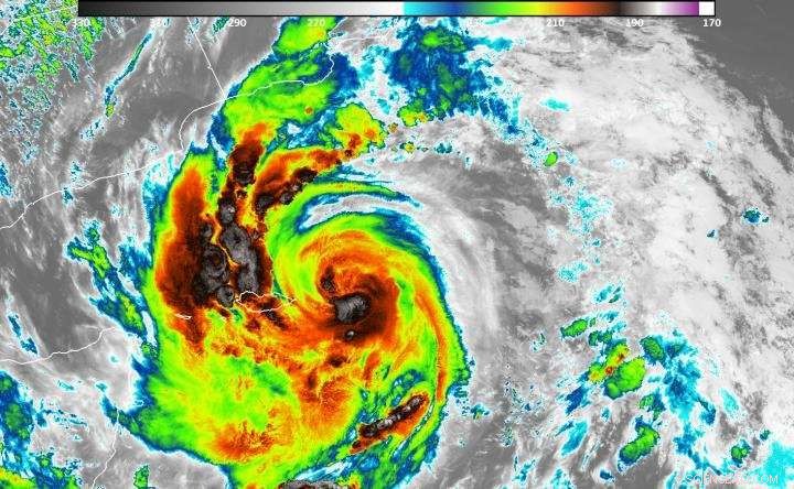
    At 5:33 p.m. EDT (2133Z) on May 23, NASA-NOAA's Suomi NPP satellite flew over Mekunu. Infrared data showed intense convection and tropospheric gravity waves. In addition, the First Quarter moon provided enough side lighting to show the intense convection to the east of Socotra Island, as well as some tropospheric gravity waves near the eye. Lightning streaks were also seen around the storm. Credit: NASA/NOAA/UWM-SSEC-CIMSS, William Straka III

    Tropical Cyclone Mekunu, the second tropical cyclone in less than a week, formed in the western Arabian Sea early on May 22, 2018 and is moving toward a landfall in Oman. NASA satellites provided an infrared, night-time and precipitation analysis of the storm.

    The Global Precipitation Measurement mission or GPM core observatory satellite flew above tropical Cyclone Mekunu in the Arabian Sea on May 22, 2018 at 2:06 p.m. EDT (1806 UTC). GPM's Microwave Imager (GMI) and Dual Frequency Precipitation Radar (DPR) instruments collected data that showed the intensity and location of precipitation within the intensifying tropical cyclone. This GPM pass showed that Mekunu was becoming well organized with maximum sustained wind speeds greater than 45 knots (52 mph). GPM showed that extremely heavy rainfall was located southwest of the center of circulation. GPM's radar (DPR Ku Band) measured precipitation that was falling at a rate of almost 180 mm (7.1 inches) in a few powerful convective storms.

    At NASA's Goddard Space Flight Center in Greenbelt, Maryland, the GPM satellite's radar (DPR Ku Band) data were used to create a 3-D structure of precipitation within Mekunu. The 3-D cross-section view of the tropical cyclone's precipitation revealed that powerful convective storms southwest of Mekunu's center were reaching heights of about 16 km (9.9 miles). GPM's DPR showed that some heavy downpours were returning radar reflectivity values greater than 59 dBZ to the satellite. GPM is a joint mission between NASA and the Japan Aerospace Exploration Agency, JAXA.

    NASA Satellites Deliver Comprehensive 3-Phase Analysis of Tropical Cyclone Mekun

    NOAA's Suomi NPP satellite showed cloud top temperatures as cold as or colder than 210 Kelvin (minus 63.1 degrees Celsius/minus 81.6 degrees Fahrenheit) in storms around Mekunu's eye. NASA research has shown that storms with cloud tops that cold have the potential to produce heavy rainfall. Credit: NASA/NOAA/UWM-SSEC-CIMSS, William Straka III

    At about 5:33 p.m. EDT (2133Z) on May 23, NASA-NOAA's Suomi NPP satellite flew over Mekunu. Infrared data showed intense convection and tropospheric gravity waves. In addition, the First Quarter moon (54% Illumination) provided enough side lighting to show the intense convection to the east of Socotra Island, as well as some tropospheric gravity waves near the eye. In the night-time image, lightning streaks were also seen around the storm.

    Infrared data from the Visible Infrared Imaging Radiometer Suite (VIIRS) instrument aboard NASA-NOAA's Suomi NPP satellite showed cloud top temperatures as cold as or colder than 210 Kelvin (minus 63.1 degrees Celsius/minus 81.6 degrees Fahrenheit) in storms around Mekunu's eye. NASA research has shown that storms with cloud tops that cold have the potential to produce heavy rainfall.

    At 11 a.m. EDT (1500 UTC) the Joint Typhoon Warning Center (JTWC) noted that Tropical Cyclone Mekunu's maximum sustained winds were near 86 mph (75 knots/139 kph). The storm is expected strengthen to 85 knots before weakening again. Mekunu was centered near 14.6 degrees north latitude and 55.3 degrees east longitude. That's approximately 179 nautical miles south-southeast of Salalah, Oman. Mekunu has tracked northward at 6.9 mph (6 knots/11 kph).

    On May 22, GPM showed that extremely heavy rainfall was located southwest of the center of circulation falling at a rate of almost 180 mm (7.1 inches) in a few powerful convective storms reaching heights of about 16 km (9.9 miles). Credit: NASA/JAXA, Hal Pierce

    William K. Straka III, a researcher at the University of Wisconsin-Madison said "the last cyclone with a hurricane-equivalent intensity to track near southwestern Oman was in May 1959, according to NOAA's historical database. And there is no record in NOAA's database of a Category 2 storm making landfall in Oman and Yemen. So, this is a potentially deadly storm, bringing intense rainfall to this normally dry region." Straka created the Suomi NPP satellite imagery.

    The India Meteorological Department (RSMC New Delhi), Earth System Science Organization noted on May 24 at 5 a.m. EDT (0900 UTC), "Mekunu is very likely to intensify further into an Extremely Severe Cyclonic Storm during next 24 hours. It is very likely to move nearly northwards during next 24 hours and then north-northwestwards and cross south Oman—southeast Yemen coasts as an Extremely Severe Cyclonic Storm with wind speed of 160-170 kph [99-105 mph] gusting to 190 kph [118 mph] between 53 0 degrees east and 55 0 degrees east close to Salalah," around the morning of May 26, 2018.

    Tropical cyclone Mekunu follows on the heels of destructive and deadly Tropical Cyclone Sagar that made landfall over northwestern Somalia a few days ago.


    Science Discoveries © www.scienceaq.com