• Home
  • Chemistry
  • Astronomy
  • Energy
  • Nature
  • Biology
  • Physics
  • Electronics
  • GPM Satellite Confirms Keni Traces the Path of Tropical Cyclone Josie
    GPM Satellite Confirms Keni Traces the Path of Tropical Cyclone Josie

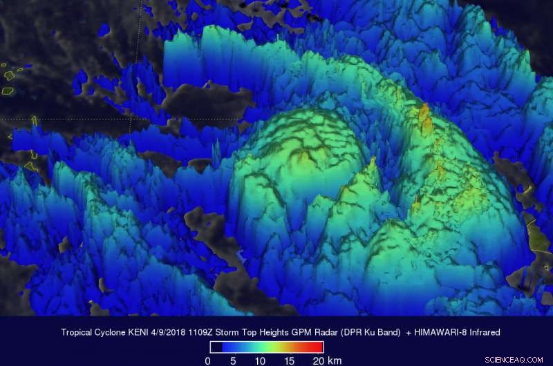
    The GPM core observatory satellite passed above Tropical Cyclone Keni on April 9, 2018, at 7:09 a.m. EDT (1109 UTC). GPM found heavy rainfall at Keni's center. Powerful storms in the bands of thunderstorms were dropping rain at a rate of greater than 226 mm (8.9 inches) per hour. Credit: NASA/JAXA, Hal Pierce

    Another tropical cyclone called Keni has formed in the South Pacific Ocean between Vanuatu and Fiji and the data from the Global Precipitation Measurement mission or GPM found heavy rainfall occurring in the new storm.

    On April 10, the Fiji Meteorological Service issued several warnings on Tropical Cyclone Keni. A Hurricane Warning remains in force for Ono-I-Lau. A Gale Warning remains in force for the rest of Southern Lau Group. A Strong Wind Warning remains in force for the rest of Fiji. A Heavy Rain Warning remains in force for Vanua Levu, Taveuni and nearby smaller islands, Lau and Lomaivit group and is now cancelled for the rest of Fiji. A flood warning remains in force for parts of Fiji. For more information, refer to the latest Special Weather Bulletin on Flood issued by RSMC, Nadi at http://www.met.gov.fj/aifs_prods/20016.txt

    The Joint Typhoon Warning Center (JTWC) issued its first warning for tropical cyclone Keni on April 8, 2018 at 5 p.m. EDT (2100 UTC). Tropical Cyclone Keni is following a track similar to Tropical Cyclone Josie that recently caused deadly flooding in Fiji.

    The GPM core observatory satellite passed above Tropical Cyclone Keni on April 9, 2018 at 7:09 a.m. EDT (1109 UTC). This analysis of rainfall around Tropical Cyclone Keni was accomplished using data collected by GPM Microwave Imager (GMI) and Dual Frequency Precipitation Radar (DPR) instruments. Those data showed that Keni was becoming well organized. GMI revealed that an area of heavy rainfall was located at Keni's center of circulation in the North Fiji Basin between Vanuatu and the Fiji Islands. Two large distinct bands of thunderstorms were found dropping heavy rainfall as they spiraled inward from Keni's eastern side. GPM's radar (DPR Ku Band) found those storms dropping rain at a rate of greater than 226 mm (8.9 inches) per hour. GPM is a joint mission between NASA and the Japan Aerospace Exploration Agency, JAXA.

    The GPM core observatory satellite passed above Tropical Cyclone Keni on April 9, 2018, at 7:09 a.m. EDT (1109 UTC). GPM revealed that an area of heavy rainfall was located at Keni's center of circulation in the North Fiji Basin between Vanuatu and the Fiji Islands. Two large distinct bands of thunderstorms were found dropping heavy rainfall as they spiraled inward from Keni's eastern side. GPM's radar (DPR Ku Band) found those storms dropping rain at a rate of greater than 226 mm (8.9 inches) per hour. Credit: NASA/JAXA, Hal Pierce

    Like Tropical Cyclone Josie, Tropical Cyclone Keni is expected to pass close to the southwest of the largest island in the Republic of Fiji called Viti Levu. Tropical cyclone Josie only attained tropical storm intensity.

    On April 10 at 11 a.m. EDT (1500 UTC) the Joint Typhoon Warning Center (JTWC) noted that Tropical Storm Keni's maximum sustained winds were near 85 knots (97 mph/157 kph). That makes Keni a Category 2 Hurricane on the Saffir-Simpson Hurricane Wind Scale. Keni was centered near 22.1 degrees south latitude and 177.6 degrees west longitude. That's approximately 243 nautical miles southeast of Suva, Fiji. Keni has tracked southeastward at 25 knots (28.7 mph/46.3 kph).

    JTWC noted that "favorable conditions will quickly diminish as Keni rapidly tracks southeastward. Keni will continue to weaken and continue to accelerate as it encounters increased vertical wind shear and cooler sea surface temperatures. Keni will begin extratropical transition by [mid-day on] April 11 (EDT)."


    Science Discoveries © www.scienceaq.com