• Home
  • Chemistry
  • Astronomy
  • Energy
  • Nature
  • Biology
  • Physics
  • Electronics
  • NASA Detects Intensification of Major Tropical Cyclone Marcus
    NASA Detects Intensification of Major Tropical Cyclone Marcus

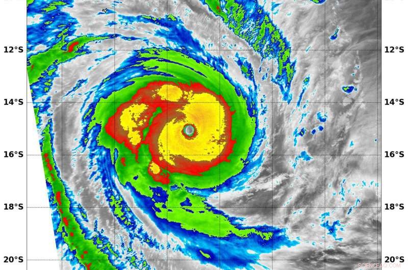
    On March 21 at 11:00 a.m. EDT (1500 UTC) NASA's Terra satellite analyzed cloud top temperatures in thunderstorms (yellow) circling Tropical Cyclone Marcus' 20 nautical-mile-wide eye. Those temperatures were as cold as minus 80 degrees Fahrenheit (minus 62.2 Celsius). Credit: NRL/NASA

    Now a Category 4 hurricane on the Saffir-Simpson Hurricane Wind Scale, Tropical Cyclone Marcus continues to strengthen as it moves south and keeps off-shore from Western Australia. NASA's Terra satellite looked at Marcus in infrared light and saw a well-organized hurricane with a wide eye.

    By analyzing a storm in Infrared light, scientists can tell cloud top temperatures that give clues about the location of the highest, coldest and strongest storms.

    On March 21 at 11:00 a.m. EDT (1500 UTC) the Moderate Resolution Imaging Spectroradiometer or MODIS instrument aboard NASA's Terra satellite analyzed Tropical Cyclone Marcus' cloud top temperatures in infrared light. MODIS found cloud top temperatures of strongest thunderstorms were as cold as or colder than minus 80 degrees Fahrenheit (minus 62.2 Celsius) circling the center of circulation. Cloud top temperatures that cold indicate strong storms that have the capability to create heavy rain.

    Satellite imagery showed that the system has become more compact and continued to intensify as deep convective bands of thunderstorms wrapped tighter into a sharply outlined 20-nautical-mile-wide eye.

    On March 21, 2018 at 11 a.m. EST (1500 UTC) the Joint Typhoon Warning Center (JTWC) noted that Tropical Cyclone Marcus' maximum sustained winds had increased to 149.6 mph (130 knots/240.8 kph). Marcus is a Category 4 hurricane on the Saffir-Simpson Hurricane Wind Scale and a major hurricane.

    JTWC expects Marcus to strengthen to a Category 5 hurricane with maximum sustained winds reaching 161.1 mph (140 knots/259.3 kph) later in the day.

    Marcus is moving through the Southern Indian Ocean and keeping distance from the coast of Western Australia. It was centered near 15.4 degrees south latitude and 108.9 degrees east longitude, about 508 nautical miles north-northwest of Learmonth, Australia. Marcus has tracked westward at 17.2 mph (15 knots/27.7 kph).

    The JTWC forecast said Marcus is in a very favorable environment with low vertical wind shear, excellent radial outflow and very warm sea surface temperatures, which are allowing the system to strengthen. After peaking at 161.1 mph (140 knots/259.3 kph) later on March 21, "Marcus will begin to recurve southward and gradually then rapidly weaken due to increasing vertical wind shear and cooling sea surface temperatures. After [two days] Marcus will accelerate southeastward toward Perth but will dissipate offshore by the fourth day [March 25].


    Science Discoveries © www.scienceaq.com