• Home
  • Chemistry
  • Astronomy
  • Energy
  • Nature
  • Biology
  • Physics
  • Electronics
  • NASA Tracks Hurricane Irma’s Eye Along Cuba’s Coast
    NASA Tracks Hurricane Irma’s Eye Along Cuba’s Coast

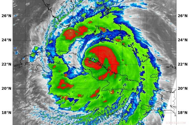
    This infrared image from the MODIS instrument aboard NASA's Aqua satellite shows extremely cold temperatures (red) in thunderstorms surrounding the eye of Hurricane Irma as it traveled along Cuba's northern coast on Sept. 9 at 3:15 a.m. EDT (0715 UTC). Credit: NASA/NRL

    Hurricane Irma was moving up Cuba's northern coast when NASA's Aqua satellite passed overhead. A satellite instrument revealed coldest temperatures of powerful thunderstorm tops surrounding Irma's eye and in a band of thunderstorms over the Florida Keys.

    Infrared MODIS data showed two areas with very cold cloud top temperatures of strong thunderstorms. They were around center of circulation and in a band of thunderstorms north of the center, where temperatures were as cold as minus 80 degrees Fahrenheit (minus 62.2 Celsius). Temperatures that cold indicate strong uplift in the storm and cloud tops high into the troposphere. NASA research has shown that storms with cloud tops that cold have the ability to generate heavy rain.

    Warnings and Watches

    At 11 a.m. EDT the National Hurricane Center noted many warnings and watches in effect.

    A Storm Surge Warning is in effect for Volusia/Brevard County line southward around the Florida peninsula to the Suwanee River, the Florida Keys and Tampa Bay. A Storm Surge Watch is in effect from north of the Volusia/Brevard County line to the Isle of Palms, South Carolina, and north of the Suwanee River to Ochlockonee River.

    A Hurricane Warning is in effect for Fernandina Beach southward around the Florida peninsula to the Aucilla River, the Florida Keys, Lake Okeechobee, Florida Bay. A Hurricane Warning is also in effect for the Cuban provinces of Camaguey, Ciego de Avila, Sancti Spiritus, Villa Clara, Matanzas, and Havana, Andros Island, Bimini and Grand Bahama. A Hurricane Watch is in effect from north of Fernandina Beach to Edisto Beach, west of the Aucilla River to Indian Pass, Florida. A Hurricane Watch is also in effect for the Cuban provinces of Holguin and Las Tunas.

    This animation of NOAA's GOES East satellite imagery from Sept. 6 at 9:45 a.m. EDT (1345 UTC) to Sept. 9 ending at 10:15 a.m. EDT (1415 UTC) shows Category 4 Hurricane Irma approaching south Florida and Category 4 Hurricane Jose approach the northern Leeward Islands. Meanwhile, Hurricane Storm Katia made landfall and dissipated in eastern Mexico. Credit: NASA-NOAA GOES Project

    A Tropical Storm Warning is in effect for Cuban provinces of Holguin, Las Tunas, and a Tropical Storm Watch is in effect from north of Edisto Beach to South Santee River and west of Indian Pass to the Okaloosa/Walton County Line.

    Hurricane Irma at 11 a.m. EDT on Saturday, September 9, 2017

    At 11 a.m. EDT (1500 UTC), the eye of Hurricane Irma was located by a reconnaissance plane and radar near latitude 22.8 North, longitude 79.8 West. Irma is moving toward the west along the north coast of Cuba at near 9 mph (15 km/h). A northwest motion is expected to begin later today with a turn toward the north-northwest on Sunday.

    Maximum sustained winds are near 125 mph (205 km/h) with higher gusts. Irma is a category 3 hurricane on the Saffir-Simpson Hurricane Wind Scale. Irma is forecast to re-strengthen once it moves away from Cuba, and Irma is expected to remain a powerful hurricane as it approaches Florida. Hurricane-force winds extend outward up to 70 miles (110 km) from the center and tropical-storm-force winds extend outward up to 195 miles (315 km). The minimum central pressure reported by an Air Force plane was 941 millibars.

    On the forecast track, the core of Irma will continue to move near or over the north coast of Cuba later today, and will reach the Florida Keys Sunday morning. The hurricane is expected to move along or near the southwest coast of Florida Sunday afternoon.

    NASA Tracks Hurricane Irma’s Eye Along Cuba’s Coast

    This visible image of Category 4 Hurricane Irma was taken on Saturday, Sept. 9, 2017, at 10:37 a.m. EDT (1437 UTC) by the NOAA GOES East satellite. Credit: NASA/NOAA GOES Project




    Science Discoveries © www.scienceaq.com