• Home
  • Chemistry
  • Astronomy
  • Energy
  • Nature
  • Biology
  • Physics
  • Electronics
  • How to Prepare for Repeated Natural Disasters in the Same Region
    How to Prepare for Repeated Natural Disasters in the Same Region

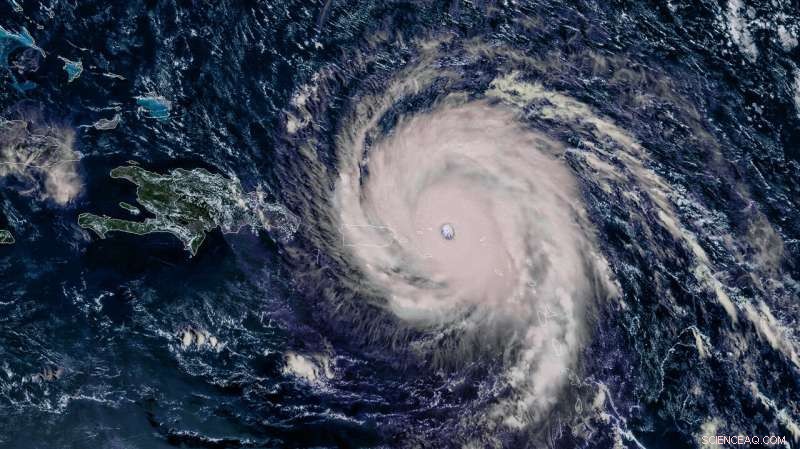
    NOAA GOES-16 satellite view of Hurricane Irma, British Virgin Islands, UVI, Puerto Rico, Dominican Republic, Haiti, Caribbean, and the eye of Irma. Credit: Steven Kelley

    Disasters such as hurricanes, wildfires, floods, tornadoes, and droughts are not only increasing in intensity and frequency, they are also striking the same place multiple times. Yet to date, disaster research largely focuses on individual events, and fails to account for legacy effects that leave people vulnerable in the wake of repeated disasters.

    To improve predictive capacity to better prepare for future disasters, an interdisciplinary team of researchers has developed a novel framework for improving scientific understanding of "recurrent acute disasters" (RADs). Their work was published today in Science Advances.

    Study co-lead Steward Pickett, an urban ecologist at Cary Institute of Ecosystem Studies, says, "Recurrent acute disasters impact a specific place over time. Each event can create legacy conditions that shape the effects of subsequent disasters. As RADs become more frequent and intense, examining disasters as linked⁠—rather than isolated⁠—events will be critical to improving disaster science, preparedness measures, and outcomes for affected communities."

    Driven in part by climate change, population growth in at-risk locations, and inadequate disaster preparedness, RADs pose an increasing threat to environmental quality, economic activity, and public health and safety. Examples of events that are beginning to interact in sequence include wildfires in the American West, extraordinary floods in Europe, and massive hurricanes in the Caribbean. Impacts of these sequences of events disproportionately affect vulnerable populations, including those of low income and persons of color, who are traditionally underrepresented in disaster governance, policy, and recovery planning.

    Understanding legacy conditions—the lasting behaviors and consequences created by one disaster that influence effects of subsequent disasters—can help emergency managers identify hidden threats and response needs.

    The paper's authors propose a framework to guide future research on recurring acute disasters that accounts for: spatial relationships among recurring disasters; a holistic view of the "human ecosystem" including the state of critical resources, demographics, and social institutions at a given point in time; and trends in legacy conditions—whether effects intensify or diminish (or both) between disasters. Puerto Rico is used as a case study for how a RAD approach to disaster recovery could improve outcomes and build resilience.

    Puerto Rico was hit by a series of RADs between 2017-2020, including hurricanes Irma and Maria, a subsequent drought, and the January 2020 earthquakes. Each event gave rise to legacy conditions, which exacerbated social, environmental, and infrastructure vulnerabilities. Efforts to prepare for future events must take these factors into account.

    "The situation in Puerto Rico since 2017 has led to what we define as negative legacy conditions, including a deteriorating energy infrastructure, public loss of trust in government institutions, and a health care system under immense strain," said coauthor Miguel Román, former Program Director at the Universities Space Research Association. "Because legacy conditions have differential impacts upon vulnerable communities, issues of equity and environmental justice (EEJ) can also be better addressed by RAD-sensitive disaster and recovery policies," said Román.

    How to Prepare for Repeated Natural Disasters in the Same Region

    Blue tarps on homes damaged by hurricanes. Credit: Lorie Shaull

    Pickett contends that the disaster research and response community is well positioned to adopt a RAD-based approach with the help of emerging data sources and online tools: "Numerous sources of data and new analytical methods could be leveraged to monitor and identify legacy conditions soon after a disaster. These include things like data collected by satellite and social media, new computer modeling approaches, and mobility tracking. Our framework could help organize these information streams to better understand what happens during and in the aftermath of disaster events."

    Establishing a more thorough understanding of recurring acute disasters could inform building codes, public health regulations, private insurance premiums, emergency communications, and community preparedness training. The authors note that to reduce risk from future disasters, preparedness programs should update incident response plans to include specific consideration of how previous disasters have altered the response landscape and available resources.

    "This research is an important new step toward understanding how legacy conditions created by one disaster influence the effects of subsequent disasters," notes Professor Gary Machlis of Clemson University, who was the lead author and co-led the study. "In particular, adopting RAD-sensitive disaster and recovery policies should help improve outcomes for vulnerable communities. Increasing our understanding of recurrent disasters has the potential to advance disaster science, improve issues of equity and environmental justice, build resilience, and ultimately save lives."

    Pickett concludes, "The recent IPCC report from the UN confirms that the extreme events that generate many disasters will increase over time. For the disaster management community, including partner scientists, it will be necessary to convert the RAD-based predictions of legacy conditions into specific preparedness actions that reduce vulnerability to later disasters."

    Science Discoveries © www.scienceaq.com