• Home
  • Chemistry
  • Astronomy
  • Energy
  • Nature
  • Biology
  • Physics
  • Electronics
  • Fractured Ice Sheets Revealed on Mars: Deuteronilus Mensae Surface Study
    Fractured Ice Sheets Revealed on Mars: Deuteronilus Mensae Surface Study

    This image shows a region of Mars named Deuteronilus Mensae. It comprises data gathered on 25 February 2018 during orbit 17913. The ground resolution is approximately 13 m/pixel and the images are centred at about 25.5°E/44°N. This image was created using data from the nadir and colour channels of the High Resolution Stereo Camera (HRSC). The nadir channel is aligned perpendicular to the surface of Mars, as if looking straight down at the surface. North is to the right. Credit: ESA/DLR/FU Berlin, CC BY-SA 3.0 IGO

    Where the two hemispheres of Mars meet, the planet is covered in broken-up terrain: a sign that slow-but-steady flows of icy material once forged their way through the landscape, carving out a fractured web of valleys, cliffs and isolated mounds of rock.

    Mars is a planet of two halves. Its hemispheres are drastically different; the smooth northern lowlands sit up to three kilometres below the rugged southern highlands, and the surface in Mars' northern regions appears to be far younger than the ancient swaths of the south.

    Where these regions meet, they sometimes form a transition area filled with a wide range of intriguing geological features, patterns and processes: a type of landscape unique to Mars known as fretted terrain. Fretted terrain is found in a couple of key areas on Mars, and an especially good example, named Deuteronilus Mensae, can be seen in these images from Mars Express' High Resolution Stereo Camera (HRSC).

    This landscape shows clear and widespread signs of significant, lasting erosion. As is common with fretted terrain, it contains a mix of cliffs, canyons, scarps, steep-sided and flat-topped mounds (mesa), furrows, fractured ridges and more, a selection of which can be seen dotted across the frame.

    These features were created as flowing material dissected the area, cutting through the existing landscape and carving out a web of winding channels. In the case of Deuteronilus Mensae, flowing ice is the most likely culprit. Scientists believe that this terrain has experienced extensive past glacial activity across numerous martian epochs.

    Fractured Ice Sheets Revealed on Mars: Deuteronilus Mensae Surface Study

    This image shows a region of Mars named Deuteronilus Mensae. The area outlined by the bold white box indicates the area imaged by the Mars Express High Resolution Stereo Camera on 25 February 2018 during orbit 17913. Credit: NASA MGS MOLA Science Team

    It is thought that glaciers slowly but surely ate away at the plains and plateaus that once covered this region, leaving only a scattering of steep, flat, isolated mounds of rock in their wake.

    Smooth deposits cover the floor itself, some marked with flow patterns from material slowly moving downhill—a mix of ice and accumulated debris that came together to form and feed viscous, moving flows of mass somewhat akin to a landslide or mudflow here on Earth.

    Studies of this region by NASA's Mars Reconnaissance Orbiter have shown that most of the features seen here do indeed contain high levels of water ice. Estimates place the ice content of some glacial features in the region at up to 90%. This suggests that, rather than hosting individual or occasional icy pockets and glaciers, Deuteronilus Mensae may actually represent the remnants of an old regional ice sheet. This ice sheet may once have covered the entire area, lying atop the plateaus and plains. As the martian climate changed this ice began to shift around and disappear, slowly revealing the rock beneath.

    • Fractured Ice Sheets Revealed on Mars: Deuteronilus Mensae Surface Study

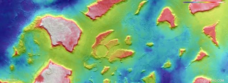
      This colour-coded topographic view shows a region of Mars named Deuteronilus Mensae. Lower parts of the surface are shown in blues and purples, while higher altitude regions show up in whites, yellows and reds, as indicated on the scale to the top right. This view is based on a digital terrain model of the region, from which the topography of the landscape can be derived. It comprises data gathered on 25 February 2018 during orbit 17913. The ground resolution is approximately 13 m/pixel and the images are centred at about 25.5°E/44°N. North is to the right. Credit: ESA/DLR/FU Berlin, CC BY-SA 3.0 IGO

    • Fractured Ice Sheets Revealed on Mars: Deuteronilus Mensae Surface Study

      This image from ESA’s Mars Express shows a region of Mars named Deuteronilus Mensae. This oblique perspective view was generated using a digital terrain model and Mars Express data gathered on 25 February 2018 during orbit 17913. The ground resolution is approximately 13 m/pixel and the images are centred at about 25.5°E/44°N. This image was created using data from the nadir and colour channels of the High Resolution Stereo Camera (HRSC). The nadir channel is aligned perpendicular to the surface of Mars, as if looking straight down at the surface. Credit: ESA/DLR/FU Berlin, CC BY-SA 3.0 IGO

    • Fractured Ice Sheets Revealed on Mars: Deuteronilus Mensae Surface Study

      This image from ESA’s Mars Express shows a region of Mars named Deuteronilus Mensae. This oblique perspective view was generated using a digital terrain model and Mars Express data gathered on 25 February 2018 during orbit 17913. The ground resolution is approximately 13 m/pixel and the images are centred at about 25.5°E/44°N. This image was created using data from the nadir and colour channels of the High Resolution Stereo Camera (HRSC). The nadir channel is aligned perpendicular to the surface of Mars, as if looking straight down at the surface. Credit: ESA/DLR/FU Berlin, CC BY-SA 3.0 IGO

    Overall, the features seen in these Mars Express images are reminiscent of the rock- and debris-covered glaciers found in cold regions of Earth. Glaciers may actually be relatively common on both past and present-day Mars; recent studies suggest that the planet may have belts of glacial activity above and below its equator, containing huge amounts of ice covered in thick protective layers of dust, and many other areas show signs of having hosted glaciers in the past—just like Deuteronilus Mensae.

    Mars Express has been orbiting the Red Planet since 2003. Using the HRSC, which obtained these new images, the mission has continually mapped the martian surface and characterised various key properties of and phenomena on the planet—from the presence of a planet-wide groundwater system to intricate old river systems, various intriguing surface deposits, giant regional dust storms, spikes of tell-tale gases in the planet's atmosphere, and much more.

    The mission will continue to explore the Red Planet in collaboration with the ESA-Roscosmos ExoMars Trace Gas Orbiter, which arrived at Mars in 2016, and the ExoMars Rosalind Franklin rover and its accompanying surface science platform, which will arrive in 2021.


    Science Discoveries © www.scienceaq.com